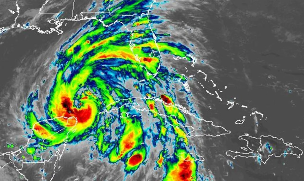
Hurricane Helene formed Wednesday morning with the National Hurricane Center forecasting the storm to rapidly intensify in the warm waters of the Gulf of Mexico and strike Florida as a major Category 3 hurricane.
As of the NHC’s 2 p.m. advisory, Helene remained a Category 1 hurricane with 80 mph sustained winds about 110 miles north-northeast of Cozumel, Mexico and 480 miles south-southwest of Tampa as it moved north-northwest at 10 mph. Hurricane-force winds extend out 25 miles and tropical-storm-force winds extend out 275 miles from the center.
“Over the next couple of days, Helene will be moving through an environment of low vertical wind shear, ample environmental moisture, and over waters of high oceanic heat content,” said NHC senior hurricane specialist Jack Beven. “All guidance forecasts steady to rapid intensification.”
The forecast intensity has it reaching major hurricane strength with 125 mph sustained winds and 155 mph gusts by 8 p.m. Thursday just before an expected landfall with a cone ranging from south of Tallahassee in Florida’s Big Bend region west to Panama City on the Panhandle.
That’s puts it just shy of Category 4 strength, and some weather models have it growing to that strength.
Gov. Ron DeSantis said mandatory evacuation orders were in place for some parts of 16 counties.
“This thing’s going to be whipping through,” he said during a Wednesday afternoon press conference from the State Emergency Operations Center in Tallahassee. “It’s going to cause a lot of churn, and is going to drive that water and so it is going to be a significant water event. … Remember, you hide from wind, but you run from the water.”
He said the state had partnered with Uber for free rides for those in those evacuation zones. He also said Visit Florida has activated emergency accommodation modules on Expedia and Priceline for hotel availability.
The breadth of the storm has already prompted tropical storm warnings to extend to the entirety of Florida’s east coast and into Georgia on top of Florida’s Gulf Coast and Panhandle hurricane warnings and watches.
And several coastal counties have ordered evacuations as storm surge was a threat from southwest Florida up to the Panhandle including up to 18 feet in the Big Bend, up to 8 feet in Tampa Bay and 5 feet in Charlotte Harbor.
“It is going to be a big storm, and by big I mean not intensity, I mean size,” said NHC Deputy Director Jaime Rhome on Tuesday. “And big storms cause big problems. And that’s one of the take-home messages that I need you to understand.”
Hurricane warnings are in place for the Gulf Coast from the Anclote River near Tarpon Springs north to Mexico Beach, Florida on the Panhandle as well as the immediate threat of in Mexico from Cabo Catoche to Tulum as well as Cozumel.
A hurricane watch is in place for Englewood north the Anclote River and Tampa Bay as well as on the Cuban province of Pinar del Rio.
Tropical storm warnings are in effect for the Dry Tortugas, all of the Florida Keys, the Florida west coast from Flamingo to the Anclote River and Tampa Bay, west of Mexico Beach on the Panhandle to the Okaloosa/Walton county line and the east coast of the Florida peninsula from Flamingo around and north up to the mouth of the South Santee River, Georgia.
Tropical storm warnings are in place as well for Lake Okeechobee and inland warnings for all of Central Florida including Brevard, Lake, Marion, Orange, Osceola, Polk, Seminole, Sumter and Volusia counties. The western inland portion of Marion County is under a hurricane warning.
Helene has strengthened into a hurricane.
This imagery shows intense convection pulsing within a growing, intensifying storm. pic.twitter.com/Tc41vBkylD
— CIRA (@CIRA_CSU) September 25, 2024
And warnings are in place for Rio Lagartos to Cabo Catoche, Mexico and the Cuban provinces of Artemisa, Pinar del Rio, and the Isle of Youth.
A tropical storm watch is in effect for the South Carolina coast from the South Santee River north to Little River Inlet.
“Hurricane conditions are expected within the U.S. hurricane warning area late Thursday, with tropical storm conditions beginning Thursday morning,” said NHC Warning Coordination Meteorologist Robbie Berg. “Tropical storm conditions are expected in southern Florida later today and will spread northward across the rest of Florida, Georgia, and South Carolina through Thursday. Tropical storm conditions are possible within the tropical storm watch area in South Carolina beginning on Thursday.”
9/25 11am EDT: There is a danger of life-threatening storm surge from #Helene along the entire Florida Peninsula and Florida Big Bend, where a Storm Surge Warning is in effect. Residents in those areas should follow advice given by local officials and evacuate if told to do so. pic.twitter.com/LuAiBHuFhB
— NHC Storm Surge (@NHC_Surge) September 25, 2024
The big worry for more of the Gulf Coast is storm surge with a warning in place from Indian Pass in the Panhandle all the way south to Flamingo near the bottom of the Florida peninsula’s southwest coast, but also vulnerable Tampa Bay and Charlotte Harbor. A storm surge watch is in effect west of Indian Pass to Mexico Beach.
Storm surge as high as 18 feet could be seen in the area directly near landfall.
“It’s going to push a big swath of storm surge across the western portions of the Florida peninsula,” Rhome said. “This area is really, really vulnerable to storm surge. It’s not going to take a lot of wind, and even tropical-storm-force winds along the Florida West Coast produce significant and life threatening storm surge.”
The NHC warned surge and high tide could lead to 12-18 feet from Carrabelle to Chassahowitzka, 8-12 feet from Apalachicola to Carrabelle and from Chassahowitzka to the Anclote River near Tarpon Springs, from 6-9 feet from Indian Pass in the Panhandle to Apalachicola, 5-8 feet from the Anclote River south to the middle of Longboat Key and Tampa Bay, 4-7 feet from the middle of Longboat Key south to Englewood and 3-5 feet from Englewood south to Flamingo including Charlotte Harbor.
“A turn toward the north and north-northeast with an increase in forward speed is expected later today through Thursday, bringing the center
of Helene across the eastern Gulf of Mexico and to the Florida Big Bend coast by Thursday evening,” Berg said. “After landfall, Helene is expected to slow down and turn toward the northwest over the southeastern United States Friday and Saturday.”
Helene is forecast to drop 4-8 inches over western Cuba, the Cayman Islands and northeast Yucatan Peninsula with some areas getting 12 inches before threatening Florida and the Southeast U.S. where it’s expected to drop 5-10 inches of rain with some areas getting up to 15 inches.
“This rainfall will likely result in areas of considerable flash and urban flooding, with areas of significant river flooding,” Beven said. “Landslides are possible in areas of steep terrain in the southern Appalachians.”
Inland tropical storm watches are in place deep into the U.S. up into Georgia including Atlanta as well as western South Carolina and western North Carolina.
“We don’t normally issue tropical storm watches this far inland, especially here, over the Appalachians area,” Rhome said. “So that’s unusual. You really need to be paying attention. There’s also a big flood threat.”
The NHC also warns tornadoes could form as soon as Wednesday night over the western Florida peninsula and southern Alabama with the risk growing on Thursday and expanding across Florida and into parts of Georgia and South Carolina.
Helene formed from Potential Tropical Cyclone Nine as a tropical storm on Tuesday morning, and has picked up steam since.
“Storm surge, wind, and rainfall impacts will likely extend well away from the center and outside the forecast cone, particularly on the east side,” Berg said. “In addition, the fast forward speed while it crosses the coast will likely result in farther inland penetration of strong winds over parts of the southeastern United States after landfall.”
“The wind swath is going to be huge with this system, and it’s basically going to carve a path right over a good portion of the Florida peninsula, including the highly populated I-4 corridor,” Rhome said. “So if you’re watching from Tampa and Orlando, you’re going to have a big wind event with this, no matter where it goes with respect to the track.”
The storm’s center has a likely target of the Big Bend, similar to this year’s Hurricane Debby and 2023’s Hurricane Idalia with a tighter cone of uncertainty 36 hours out from landfall that ranges from near Horseshoe Beach up to Panama City.
“All indications are a significant hurricane impacting the Florida Big Bend, but, and this is a big but, the hazards are going to be well removed from the center and well removed from the cone,” Rhome said. “So I don’t want you to look at the cone and say, ‘I’m out of the cone,’ or ‘I’m on the edge of the cone,’ because this wind field, the wind field with this system, is going to be really large — larger than you’re used to seeing with a traditional hurricane.”
DeSantis spoke Wednesday morning from TECO Energy’s staging area in Tampa as one of the areas thousands of linemen are preparing to respond to the storm.
“You still have time to make the preparations and put your plan in place today, but that time is running out,” he said. “It’s a big, big storm and has the potential to have a lot of impacts.”
That includes filling gas tanks, getting water and nonperishable food, cleaning up yards for potential debris and knowing evacuation zones.
DeSantis urged residents to listen to local evacuation orders, and avoid the tragedy seen in 2022’s Hurricane Ian that killed 149 people in Florida, most of whom were caught in major storm surge in southwest Florida.
“The field is so big with the winds and it’s going to churn up a lot of surge that you’re likely to see something significant, particularly in the barrier islands and those low lying areas,” he said. “So we always say you can hide from the wind, especially with Florida structures that have been built in modern times, but you run from the water, because if that water really does come crashing in, it’s not a lot you can do about it at that point.”
Each county has designated shelters, including at least one that will let residents take their pets.
“You don’t have to get in your car and drive 350 miles away. You can evacuate safely to higher ground,” he said. “There’s shelters, there’s hotels, friends’ houses, family. All that is fine.”
People, including some in mobile or manufactured homes, can find out if they are under an evacuation order at floridadisaster.org.
He reiterated that even though landfall will be on the Gulf Coast, the east side of the storm will cause havoc across the entire peninsula.
“You’re going to see the more violent side of the storm. It’s going to whip up surge. It’s going to produce high winds that are going to impact the Florida peninsula from Tampa Bay all the way across to the Atlantic coast of Florida,” he said.
DeSantis earlier this week issued a pair of state of emergency orders covering 61 of Florida’s 67 counties. President Biden approved federal disaster assistance that authorizes FEMA to coordinate all disaster relief efforts for 28 of those counties. DeSantis said he would revisit their request to see if the federal order can be expanded, which would help refund preparations some of the cities and counties in effected areas have to make.
He said more than 18,000 utility linemen were in the state on Tuesday, and that number continues to grow.
He also said the state has SpaceX Starlink internet hardware available to deploy if needed to targeted areas along with tarps, generators and other post-landfall needs.
The state deployed for the first time this year during Hurricane Debby, which also targeted the Big Bend, new flood protection devices primarily for use to protect utility substations. DeSantis intends to deploy those again, which help get the power back up that much quicker.
“I want to thank all the linemen, first of all, our Florida linemen, for what you do,” he said. “You get appreciated more during the hurricanes than in the normal kind of course of life. But the reality is so much of our lives now depend on having the lights on and having the power flowing freely that gets interrupted sometimes on these hurricanes.”
DeSantis took the opportunity to remind people without power who are using generators to keep them out of the house, because of the risk of carbon monoxide poisoning.
He also urged people to stay off the roads as the storm comes in, and in the aftermath.
“You do not want to be on the road when you have major, major wind and rain that is happening,” he said. “We typically will see some fatalities every year for people that are out and about past time when it would be safe to do so.”
There are 3,500 Florida National Guard soldiers ready to assist with post-storm assistance, which can be surged to 5,500 if necessary. The state has also mobilized more than 250 from the Florida State Guard as well as personnel from the Florida Fish and Wildlife Commission, Florida Department of Law Enforcement, county sheriffs and city police forces.
“These resources are being added by the minute, so you’re going to continue to have more linemen brought in. You’re going to continue to have more beef added to these staging areas,” DeSantis said on Tuesday.
Kevin Guthrie, director of the Florida Division of Emergency Management, said he has already had 750 resource requests in from various counties.
Only the westernmost Panhandle counties have escaped any sort of watch or warning because of Helene.
“This hurricane will have tropical-storm-force winds in excess of 250 miles from the center,” Guthrie said on Tuesday. “That will encompass most of the peninsula from the Space Coast all the way through the First Coast and then on the west coast of Florida, the entire coastal portion of the west coast of Florida.”
For Florida, the potential for heavy rains and increased winds is increasing from Wednesday night through Friday.
Outer bands have already moved through the Florida Keys and up into South Florida.
The NHC said 4-8 inches with some areas getting 12 inches could fall in parts of Florida and the southeastern United States.
National Weather Service Melbourne meteorologist Scott Kelly said the storm looks to have a large wind field once it matures extending far to the east of its center.
“A tornado watch is a possibility for at least parts of Central Florida,” he said.
The region is forecast to get 1-3 inches of rain, but some areas could get up to 6 inches. Winds could see gusts for 50-60 mph.
“Deep moisture is surging northward which will support a higher coverage of showers and storms with banding setting up near the east coast and spreading inland,” Kelly said of Wednesday’s forecast. “These bands will not be directly connected to Helene yet but may be described as detached outer rainbands. Locally heavy rain will accompany these bands and trailing of cells is possible which would create a localized flood threat, especially where recent heavy rains have occurred.”
More rainfall for the Florida peninsula could follow over the weekend after the system has passed through, which is a flooding concern with ground that may have just been deeply saturated already, he said.
The NHC predicts tropical-storm-force winds could arrive to South Florida by 8 p.m. Wednesday and into Central Florida by 8 a.m. Thursday.
All Central Florida schools opted to cancel classes on Thursday, while NASA and SpaceX delayed their planned launch of the Crew-9 mission to the International Space Station until at least Saturday.
SunRail announced it was shutting down service on Thursday as well.
Statewide, universities were shutting down ahead of the storm and Tampa International Airport will not operate on Thursday.
Busch Gardens and Adventure Island in Tampa will be closed Thursday. Universal announced it would shut down its water park Volcano Bay on Thursday as well. Disney said its Typhoon Lagoon water park and miniature golf courses would also close Thursday, and that its
Mickey’s Not-So-Scary Halloween Party was canceled for Thursday. Because of that, Magic Kingdom regular park hours are being extended from 6 p.m. to 8 p.m.
The NHC was tracking two more systems in the Atlantic with a chance to become a tropical depression or storm.
As of the NHC’s 2 p.m. tropical outlook, the more likely is a broad low-pressure system associated with a tropical wave located west of the Cape Verde Islands that has been producing disorganized shower and thunderstorm activity since Monday.
“Environmental conditions appear favorable for gradual development of this system, and a tropical depression is likely to form in a few days while it moves westward to west-northwestward across the eastern and central tropical Atlantic,” forecasters said.
The NHC gives it a 60% chance to develop in the next two days and 80% in the next seven.
New on Wednesday was a nontropical area of low pressure several hundred miles to the northeast of Bermuda.
“The system is currently producing winds up to storm force, and environmental conditions could support the low developing some subtropical or tropical characteristics over the next several days as the system moves generally east-northeastward, remaining over the central subtropical Atlantic,” forecasters said.
The NHC gives it a 10% chance to develop in the next two days and 20% in the next seven.
The next name on the 2024 Atlantic hurricane season list is Isaac.
Hurricane season runs from June 1-Nov. 30, with the height of hurricane development running from mid-August into October.

