Houston Power Outages Enter 4th Day Amid Heatwave Fears!
(Newsweek) – Hundreds of thousands of Texans are without power for a fourth day after a...
Read MorePosted by RRC Admin | May 20, 2024 | Breaking News, Emergency Preparedness / Grid Down, Weather |
(Newsweek) – Hundreds of thousands of Texans are without power for a fourth day after a...
Read MorePosted by RRC Admin | May 17, 2024 | Breaking News, Emergency Preparedness / Grid Down, Natural Disasters, Weather |
HOUSTON (AP) — Power outages could last weeks in parts of Houston, an official warned Friday,...
Read MorePosted by RRC Admin | May 15, 2024 | Breaking News, Space, Weather |
(The Daily Mail) – It has already caused radio blackouts and GPS disruptions. Now a new...
Read MorePosted by RRC Admin | May 14, 2024 | Breaking News, Space, Technology, Weather |
The X8.7 solar flare is the biggest one yet. After a weekend of the strongest solar storms to rock...
Read MorePosted by RRC Admin | Apr 22, 2024 | Emergency Preparedness / Grid Down, Weather |
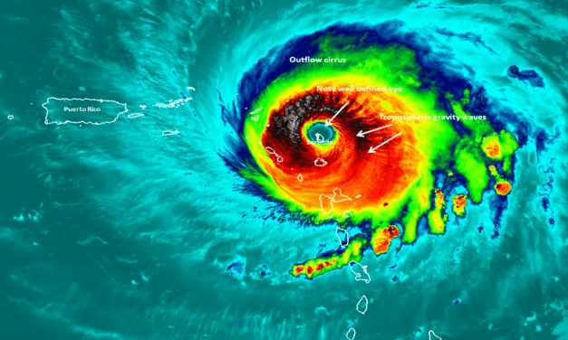
The 2024 Atlantic hurricane season is likely to be destructive and costly and could be one of the...
Read More